Cuba is in the Cyclonic Alarm Phase from Guantánamo to Camagüey and on Alert in Ciego de Ávila and Sancti Spíritus, as decreed this morning by the National Civil Defense General Staff, taking into consideration “the imminent impact of Hurricane Melissa.”
At 09:00 in the morning, not only Guantánamo, Santiago de Cuba, Holguín, Granma, Las Tunas and Camagüey went into the Cyclonic Alarm Phase, but the Civil Defense issued the Alert for Ciego de Ávila and Sancti Spíritus.
Meanwhile, according to this third communication issued before this tropical organization, in Cienfuegos, Villa Clara, Matanzas, Mayabeque, Havana, Artemisa, Pinar del Río and the Isla de la Juventud Special Municipality “it was directed to activate the defense councils in reduced composition.”
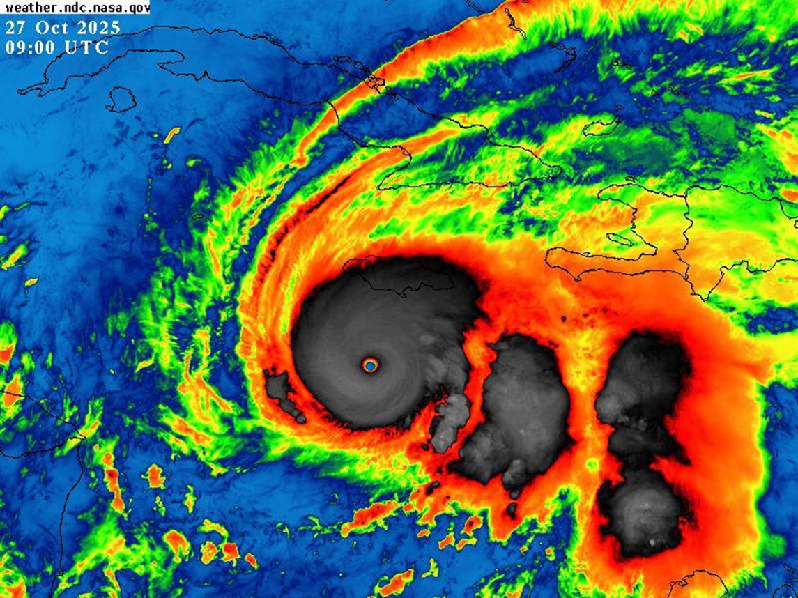
According to the Forecast Center of the Institute of Meteorology (Insmet), Melissa increased its intensity until reaching maximum sustained winds of 260 kilometers per hour, with higher gusts and central pressure of 917 hectopascal, which made it a category five hurricane on the Saffir-Simpson scale, notes the Civil Defense.
The cyclonic organism moved close to the west at six kilometers per hour and in the next 24 hours it is expected to turn north and northeast, passing through the seas of Jamaica and approaching the south of the eastern region of Cuba.
The authorities, this communication points out, urge the population to stay informed through national media and official profiles on social networks, and to disciplinedly comply with the instructions of the Civil Defense and local government bodies.
Melissa will impact the island in the midst of a serious electro-energy crisis that leaves long days of blackouts and for which even radio stations have had to reschedule their transmission. This situation is part of an economic crisis that hits Cuban daily life even harder.
The “very dangerous” Hurricane Melissa is already category 5 and must hit Cuba for about 12 hours
In its most recent statement, the US National Hurricane Center stressed that Melissa will turn northward later today or tonight, as it moves with “destructive winds and storm surges and catastrophic flooding” that will worsen for Jamaica.
“On the forecast track, the core of Melissa is expected to move near or over Jamaica tonight and Tuesday, across southeastern Cuba on Tuesday night, and across the southeastern Bahamas on Wednesday.”
